|
Eingangsseite
Aktuelle Informationen
Jahrestagungen von Alemannia Judaica
Die Mitglieder der
Arbeitsgemeinschaft
Jüdische Friedhöfe
(Frühere und bestehende) Synagogen
Übersicht: Jüdische Kulturdenkmale
in der Region
Bestehende jüdische Gemeinden
in der Region
Jüdische Museen
FORSCHUNGS-
PROJEKTE
Literatur und Presseartikel
Adressliste
Digitale Postkarten
Links
| |
zurück zur Übersicht "Synagogen in der Region"
zurück zur Übersicht "Synagogen in Hessen"
Zur Übersicht
"Synagogen im Kreis Limburg-Weilburg"
Dauborn mit
Heringen,
Kirberg und
Mensfelden
(Gemeinde Hünfelden, Kreis Limburg-Weilburg)
Jüdische Geschichte / Synagogen
Übersicht:
Zur Geschichte der jüdischen Gemeinde (english
version)
In Dauborn war der Sitz einer jüdischen
Gemeinde bis nach 1933, zu der die in den Orten Dauborn, Heringen, Kirberg und
Mensfelden lebenden jüdischen Personen / Familien gehörten. Bereits Mitte
des 18. Jahrhunderts bildeten die in diesen Orten lebendigen Juden eine
gemeinsame Gemeinde mit einer Synagoge in Kirberg.
In Kirberg siedelten sich jüdische Personen
bereits im 17. Jahrhundert an; 1644 gab es bereits fünf jüdische
Familien am Ort. 1769 waren es 14 jüdische Familien mit zusammen 43
Personen. In Dauborn werden 1670 erstmals
Juden am Ort genannt; 1720 waren vier jüdische Familien am Ort. In Mensfelden
lassen sich seit 1673 jüdische Einwohner nachweisen.
Aus dem 19. Jahrhundert liegen an Zahlen jüdischer Einwohner vor: 1843
in Dauborn 15 jüdische Einwohner, in Heringen 26, in Kirberg 35, in Mensfelden
54. 1841 wurden feste Familiennamen angenommen. Dabei wurden u.a. die
folgenden Namen gewählt: in Kirberg Nassauer, Rosenstein, Oppenheim,
Grünewald, Seemann (früher Seligmann), Stern; in Heringen Roberg,
Straß,
Löwenstein; in Dauborn Meier, Rosenthal, Neumann; in Mensfelden
Heimann, Aaron Lion, Rosenberg, Marcus, Lösmann, Stein.
An Einrichtungen bestanden eine beziehungsweise mehrere Synagogen
beziehungsweise Beträume (s.u.), eine
jüdische Schule, ein rituelles Bad und ein Friedhof
in Kirberg. Zur Besorgung
religiöser Aufgaben der Gemeinde war zeitweise ein Lehrer angestellt, der
zugleich als Vorbeter und Schochet tätig war. Bei der Lehrerkonferenz des
Bezirksrabbinates Diez in Limburg 1843 wird
als Teilnehmer Lehrer Abraham Levi Dickstein aus Heringen genannt. Er
stammte aus Polen und war auch noch um 1860 als Religionslehrer für die vier
Orte zuständig. Er wurde nach 1850 zum Ehrenbürger der Gemeinde Heringen
ernannt und starb 1882 im Alter von 107 Jahren in Heringen (siehe Bericht
unten).
Im Ersten Weltkrieg fiel aus der jüdischen Gemeinde Gustav Buchheim (geb. 8.6.1887 in Dauborn, vor 1914 in Dortmund wohnhaft, gef.
3.6.1915).
Hinweis: in Darstellungen zur jüdischen Geschichte in Heringen (Gemeinde
Hünfelden) ist teilweise zu lesen, dass auch Hermann Dessauer (geb. 21.2.1898
in Heringen, gef. 5.10.1917) gefallen ist. Doch ist hierbei Heringen
an der Werra und nicht Heringen bei Limburg gemeint (Hinweis von Markus
Streb vom 14.7.2015).
1933 lebten noch in den einzelnen Orten: in Dauborn 14 jüdische Personen,
Mensfelden 22 (in acht Familien), Kirberg fünf, Heringen zehn. In
den folgenden Jahren ist ein Teil der
jüdischen Gemeindeglieder auf Grund der Folgen des wirtschaftlichen Boykotts,
der zunehmenden Entrechtung und der
Repressalien weggezogen beziehungsweise ausgewandert. Die letzten jüdischen
Einwohner der Orte wurden deportiert, darunter aus Mensfelden Heinrich Dublon
und seine Frau Elise geb. Stein, die nach Lodz deportiert wurden und seitdem
verschollen/umgekommen sind.
Von den in Dauborn geborenen und/oder
längere Zeit am Ort wohnhaften jüdischen Personen sind in der NS-Zeit
umgekommen (Angaben nach den Listen von Yad
Vashem, Jerusalem und den Angaben des "Gedenkbuches
- Opfer der Verfolgung der Juden unter der nationalsozialistischen
Gewaltherrschaft in Deutschland 1933-1945"): Thekla Hess
geb. Buchheim (1893), Charlotte Neuberger (1891), Clementine (Tina) Schubach
geb. Simon (1897), Hannelore Schubach (1923), Lucie Klara Schubach (1926).
Aus Heringen sind umgekommen: Jeanette (Johanette) Hofmann geb. Löwenstein (1865), Abraham Löwenstein
(1867), Kathinka Klara Löwenstein (1899), Rudolf Löwenstein (1901),
Salomon (Sali) Strauß (1899)
Hinweis: auch in Heringen (Werra)
bei lebten einige jüdische Familien; es kann zu Verwechslungen kommen.
Aus Kirberg sind umgekommen: Bertha Brandl geb. Oppenheimer (1859), Berta
Cahn geb. Grünewald (1872), Hedwig Goldschmidt (1881), Max Goldschmidt (1883),
Jenny Kahn geb. Löwenstein (1891), Beate (Betty) Strauß (1936).
Aus Mensfelden sind umgekommen: Johanna Besmann geb. Lichtenstein (1882),
Elise Dublon geb. Stein (1877), Heinrich Dublon (1877), Mathilde Grünebaum geb.
Stein (1892), Minna Löwenstein geb. Seemann (1896), Israel Seemann (1866), Lina
Stein geb. Burg (1864), Max
Stein (1894), Elisabeth Stern geb. Mayer (1881), Beate (Betty) Strauß (1936),
Gertrud Strauß geb. Dublon (1905), Salomon (Sali) Strauß (1899).
Berichte aus der Geschichte der jüdischen Gemeinde
Berichte
zu einzelnen Personen aus der Gemeinde
Zum Tod des "alten Dickstein" (1882)
Anmerkung: beim "alten Dickstein" handelte es sich um den
früheren jüdischen Lehrer Abraham Levi Dickstein, der 1843 und 1857 als Teilnehmer bei Lehrerkonferenzen in
Limburg genannt wird. Dadurch erklärt sich auch die
Verleihung des Ehrenbürgerrechtes der Gemeinde Heringen Anfang der
1850er-Jahre.
Artikel
in der Zeitschrift "Der Israelit" vom 19. April 1882: "Aus
Nassau. Der alte 'Dickstein' in Heringen hat seinen letzten Geburtstag
nicht lange überlebt; am 7. April ist er, 107 Jahre alt, sanft
verschieden und wurde am 9. unter Begleitung der gesamten Einwohnerschaft
und unter Glockengeläute zur ewigen Ruhe bestattet. Der Kriegerverein
ehrte den Dahingeschiedenen mit 3 Salven. Rabbiner Hochstätter aus Ems
hob in seiner Grabrede hervor, dass Dickstein in dem russischen Feldzug
gegen Napoleon I. an der Beresina als Kosakenoffizier ruhmvoll gekämpft.
Er besaß schon über 30 Jahre das Ehrenbürgerrecht der Gemeinde
Heringen." |
Die Leiche des vermutlich ermordeten Sally Buchheim
wird gefunden (1906)
Artikel
im "Frankfurter Israelitischen Familienblatt" vom 18. Mai 1906:
"Frankfurt am Main. Mord. Der Musketier Sally Buchheim aus
Dauborn bei Limburg wurde, nachdem er 8 Tage abgängig war, am 13.
dieses Monats als Leiche aus dem Main geländet und am 15. dieses Monats
auf dem hiesigen jüdischen Friedhofe begraben. Es liegt aller
Wahrscheinlichkeit Raubmord vor." |
| Kennkarte
aus der NS-Zeit |
| |
Am 23. Juli 1938 wurde
durch den Reichsminister des Innern für bestimmte Gruppen von
Staatsangehörigen des Deutschen Reiches die Kennkartenpflicht
eingeführt. Die Kennkarten jüdischer Personen waren mit einem großen
Buchstaben "J" gekennzeichnet. Wer als "jüdisch"
galt, hatte das Reichsgesetzblatt vom 14. November 1935 ("Erste
Verordnung zum Reichsbürgergesetz") bestimmt.
Hinweis: für die nachfolgenden Kennkarten ist die Quelle: Zentralarchiv
zur Erforschung der Geschichte der Juden in Deutschland: Bestände:
Personenstandsregister: Archivaliensammlung Frankfurt: Abteilung IV:
Kennkarten, Mainz 1939" http://www.uni-heidelberg.de/institute/sonst/aj/STANDREG/FFM1/117-152.htm.
Anfragen bitte gegebenenfalls an zentralarchiv@uni-hd.de |
| |
Kennkarte
des in Kirberg
geborenen Ludwig Lazarus Grünewald |
|
|
| |
Kennkarte (ausgestellt
in Mainz 1939) für Ludwig Lazarus Grünewald
(geb. 4. Januar 1868 in Kirberg), städtischer Arbeiter i.R., |
|
Zur Geschichte der Synagoge
Spätestens seit 1720 gab es einen Betraum (Synagoge)
für die in den vier Orten lebenden jüdischen Familien in Kirberg; bereits
damals war er Haus an der Wassergasse. 1741 wurde ein Betraum in Mensfelden
eingerichtet.
Um 1844 fanden Gottesdienst in Beträumen in Kirberg und
Mensfelden statt. Da jedoch in Heringen und Mensfelden die meisten Juden der vier Orte
lebten, wurde damals der Bau einer Synagoge in Heringen beantragt. Der Antrag
wurde jedoch behördlicherseits abgelehnt, ebenso in den Jahren 1846 und 1848. Die Juden würden
schon über 100 Jahre nach Kirberg zum Gottesdienst gehen, also sollten sie es
auch weiterhin tun; auch der Friedhof würde sich in Kirberg befinden. Damals
wurden jedoch Filialsynagogen in Heringen (Hauptstraße) und Mensfelden
gestattet.
Der Betraum in Kirberg wurde - wie genannt -
bereits in der ersten Hälfte des 18. Jahrhunderts im rückwärtigen Teil
eines zweigeschossigen Fachwerkhauses an der Wassergasse eingerichtet. 1933
wurde die Kirberger Synagoge geschlossen. 1939 wurden die
Kultgegenstände und die Schriften an die Staatspolizei in Frankfurt übergeben
und anschließend vermutlich vernichtet. Nach 1945 wurde der Bereich der
ehemaligen Synagoge zu Wohnzwecken umgebaut
Der Betraum in Heringen wurde 1846 vom
damaligen jüdischen Besitzer des Anwesens Hauptstraße 25 eingerichtet. Dazu
wurde der linke Teil einer Scheune im Hinterhof des Anwesens umgebaut. Der
Betsaal bestand bis 1933. Er war im Besitz der Familie
Strauß, die eine Vieh- und Häutehandlung betrieb; im Vorderhaus des ihnen
gehörigen Bauernhofes war die Wohnung, ein Manufakturwarenladen und eine
Zweigstelle des Nassauischen Sparkasse. 1938 wurde das Anwesen an eine
nichtjüdische Familie verkauft.
Ein Betraum in Mensfelden befand sich im
ersten Stock des Eckhauses Laistraße (heute Sonntagsstraße) und Fahlerstraße.
Hier kamen noch bis 1938 die Gemeindemitglieder aus Heringen und Mensfelden
zusammen. Der Betraum wurde beim Novemberpogrom 1938 verwüstet (Informationen
zum Betraum Mensfelden erhalten von Markus Streb vom 4.1.2015).
Adresse/Standort der Synagogen: Heringen,
Hauptstraße 25 - Kirberg, Wassergasse 7 -
Mensfelden Ecke Sonntagsstraße/Fahlerstraße
Fotos
(Quelle: Altaras s. Lit. 1988 S. 95-96 und 2007)
| Synagoge in
Heringen |
 |
 |
| |
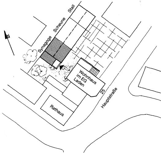
Der
Plan und die isometrische Rekonstruktionszeichnung zeigen (dunkelgrau
markiert)
den 1846 zur Synagoge umgebauten Teil der Scheune hinter dem
Wohnhaus Hauptstraße 25 |
| |
|
|
 |
 |
 |
Vorderhaus
Hauptstraße 25
(ehemaliges Haus der Familie Strauß,
daher "Juddehaus" genannt) |
linker Teil der
Scheune, ehemals Synagoge
mit Fenster aus der Synagogenzeit
(Foto vom September 1985 |
Westlicher Giebel
der Synagogenscheune
mit dem Ansatz des Eingangsvorbaus
(Foto vom September 1985) |
| |
|
|
| Synagoge in
Kirberg |
 |
 |
| |
Der
Betraum befand sich im rückwärtigen (= linken, durch den Efeubewuchs
dunkel
erscheinenden) Teil des Fachwerkhauses in der Wassergasse
(Foto links September 1985, Foto rechts August 2002) |
| |
|
|
| |
|
|
| |
|
|
Ehemaliges
jüdisches Haus in Mensfelden
(Foto erhalten von Markus Streb) |
 |
| |
Das Foto zeigt das ehemalige Rathaus von Mensfelden in der Fahlerstraße.
Das Haus gehörte bis 1938 der jüdischen Familie Albert Besmann und
kam danach in nichtjüdischen Besitz ("arisiert"). Die Kinder
von Albert Besmann und Johanna geb. Lichtenstein konnten
rechtzeitig auswandern. Zu dem Haus der Besmanns gehörten auch Stallungen
und eine Scheune. Das Hoftor der Besmanns befand sich links des Gebäudes;
das rote Tor rechts gehörte nicht zu zum betreffenden
Haus. |
| |
|
|
| |
|
|
Erinnerungsarbeit
vor Ort - einzelne Berichte
| Mai 2014:
Nachkommen der Familie Seemann (Mensfelden) auf
Spurensuche |
Artikel von Robin Klöppel in der "Nassauischen
Neuen Presse" vom 20. Mai 2014: "Spurensuche in Mensfelden.
Yaron Arieli war zwar schon öfter in Deutschland, Mensfelden hat er aber nun zum ersten Mal besucht. Dort steht das Elternhaus seiner Großmutter. Gemeinsam mit seiner Frau Osnat war er jetzt aus Israel gekommen, um sich auf Spurensuche zu begeben..."
Link
zum Artikel |
| Anmerkung (Angaben von Markus Streb): die Großmutter Minna
Seemann wuchs zusammen mit ihrem Bruder Arthur in einem Haus in
der Hehnerstraße (früher Neustraße, in der NS-Zeit
Adolf-Hitler-Straße) in Mensfelden
auf; ihre Eltern waren Israel und Amalie Seemann (Israel war
in Mensfelden als Viehhändler tätig, Amalie hatte ein
Manufakturwarengeschäft; Israel starb nach der Deportation über das
Ghetto Theresienstadt im Vernichtungslager Treblinka; Amalie starb an
Suizid 1940). Minna heiratete Max Löwenstein aus Laufenselden
(im Zusammenhang mit einem NS-Prozess gegen ihn 1935
"gestorben") mit dem sie in Laufenselden lebte und drei
Kinder hatte: Elsbeth (1920), Hannelore (1924) und Uri Kurt (1927). Minna
Löwenstein geb. Seemann wurde 1942 in das Ghetto Theresienstadt
deportiert. Sie ist umgekommen. Tochter
Elsbeth lebte Ende der 1930er-Jahre in England, von dort kehrte sie
zu ihrer Mutter zurück, die zwischenzeitlich nach Frankfurt umgezogen
war, bis ihr (Elsbeth) die Ausreise in die USA gelang (gest. 1995 als
Elsie Dola); ihre
Geschwister Hannelore und Kurt konnten nach Holland
emigrieren, von
wo Hannelore später auch deportiert und 1943 in Sobibor ermordet wurde; Kurt
konnte nach Palästina emigrieren. Minnas Bruder Arthur,
ebenfalls aus Mensfelden, konnte mit seiner Frau in die USA
emigrieren. |
| |
| September 2015:
Rundgang auf den Spuren der jüdischen Geschichte
in Mensfelden |
Artikel von Johannes Koenig in der "Nassauischen
Neuen Presse" vom 22. September 2015: "Opfer des Holocaust Jüdische Schicksale in Mensfelden
Bis 1939 lebten in Mensfelden etwa acht jüdische Familien. Ihre Geschichte schilderte Markus Streb während eines sehr gut besuchten Rundgangs durch das Dorf.
Seit 1673 sind jüdische Einwohner in Mensfelden dokumentiert, 1741 wurde der erste Gebetsraum eingerichtet, im 19. Jahrhundert zählte die Gemeinde 60 Mitglieder, 1932 erhielt die NSDAP dann aber über 70 Prozent der Stimmen und 1939 waren die letzten jüdischen Familien aus Mensfelden geflohen. So in etwa könnte der Anfang und das Ende des jüdischen Lebens in Mensfelden umrissen werden.
Auf einem rund anderthalbstündigen Rundgang durchs Dorf berichtete Markus Streb (28) über die Geschichte der Familien, die bis zu ihrer Vertreibung dort gelebt hatten. Auch heute stehen noch ein paar ihrer ehemaligen Häuser, die sie, wie überall in Deutschland, schließlich weit unter ihrem Wert verkaufen mussten. Einige andere sind inzwischen abgerissen und durch neue ersetzt worden.
Aufmerksam geworden auf das Thema war Streb, als er vor sechs Jahren im Hauptstaatsarchiv in Wiesbaden eine Prozessakte entdeckte. Diese behandelte die Anzeige des aus Mensfelden stammenden US-Bürgers Max Stein. Dieser war bei einem Heimatbesuch vom lokalen SA-Mann angegriffen worden. Es lag an der amerikanischen Staatsbürgerschaft und der Ankündigung Steins, sich an die amerikanische Botschaft zu wenden, dass die Behörden überhaupt aktiv wurden.
'Ein antisemitischer Vorfall auf dem Dorf hätte sonst niemanden
interessiert', betonte Streb.
Eine weitere bedrückende Erkenntnis des Rundgangs war, dass wohl die materiellen Mittel der etwa acht jüdischen Familien in Mensfelden über Leben und Tod entschieden.
'Es lebten zum Beispiel zwei Familien Stein hier', berichtete der Referent. Die Kaufmannsfamilie Hermann Stein, zu der auch Max zählte, gehörte zu den reichsten des Dorfes. Sie war eine der ersten gewesen, die über einen eigenen Telefonanschluss und ein eigenes Auto verfügte.
'Sie hatten Geld und Kontakte ins Ausland und konnten rechtzeitig fliehen.'
Gespräche mit Zeitzeugen. Anders erging es der anderen Familie Stein, zu der ebenfalls ein Max Stein zählte. Sie war arm, kannte niemanden im Ausland und wurde schließlich Opfer des Holocausts.
'Ich konnte noch mit rund zehn Zeitzeugen sprechen', erzählte Streb. Diese Familie war noch in
'relativ guter Erinnerung', weil sie nach den Boykotten jüdischer Geschäfte gezwungen war, in der Nachbarschaft nach Essen zu fragen. Die Kontaktaufnahme mit Zeitzeugen war in der Regel relativ unkompliziert, erzählte Streb.
'Viele waren geradezu erleichtert, ihre Erinnerungen zu teilen.'
Wobei diese nicht immer zuverlässig sind. So glaubten viele fälschlicherweise, dass die verbliebenen jüdischen Dorfbewohner im Zuge der Reichspogromnacht auf einen Lkw verfrachtet, weggefahren und seitdem nicht mehr gesehen wurden. Vermutlich gab es einen solchen Vorfall, aber die Betroffenen sind danach wahrscheinlich noch einmal ins Dorf zurückgekehrt. Eine Station der Führung war das alte Gasthaus Klapper, in dessen markanten, heute noch existierenden Festsaal jüdische Nachbarn während der Pogromnacht verschleppt und misshandelt wurden.
Nach der Veranstaltung trafen sich noch etwa 20 Teilnehmer zur Diskussion in der
Erich-Valeske-Halle. 'Wir haben verschiedene Formen des Gedenkens diskutiert und überlegt, wo ein möglicher Gedenkstein oder eine Gedenktafel stehen könnte', erzählte Markus Streb. Als nächster Schritte sei vereinbart worden, mit der Gemeinde Hünfelden in einen Dialog darüber zu treten. Die Bereitschaft, ein permanentes Gedenken in Mensfelden zu schaffen, sei jedenfalls sehr groß. Die genaue Form müsse aber noch diskutiert werden. Bisher wurde aber keine Form explizit ausgeschlossen, sodass es auch eine Mischung verschiedener Gedenkformen geben könnte."
Link
zum Artikel |
| |
März 2024:
Verlegung von "Stolpersteinen"
in Heringen
In den Hüninger Ortsteilen Heringen, Dauborn, Mensfelden und Kirberg
sollen nach den Recherchen des kommunalen Arbeitskreises "Spuren jüdischen
Lebens in Hünfelden" zur Erinnerung an das Schicksal früherer jüdischer
Einwohner in der NS-Zeit Stolpersteine verlegt werden. Die erste Verlegung
war am 20. März 2024 vor dem ehemaligen Wohnhaus der Familie Löwenstein in
der Hauptstraße 32 in Heringen. |
Artikel
von Anneke Jung in der "Neuen Nassauischen Presse" vom 13. März 2024 zur Auftaktveranstaltung zur Verlegung von
Stolpersteinen: "Das Schicksal der Familie Löwenstein..."
Artikel online zugänglich:
https://www.mittelhessen.de/lokales/kreis-limburg-weilburg/huenfelden/das-schicksal-der-familie-loewenstein-3406662
|
| |
Artikel
von Petra Hackert in der "Neuen Nassauischen Presse" vom 30. März 2024: "Mehr als Familiengeschichten.
Stolpersteine in Heringen. Zum Verlegen kommen Gäste von weit her, sogar aus
den USA..."
Artikel online zugänglich:
https://www.mittelhessen.de/lokales/kreis-limburg-weilburg/huenfelden/stolpersteine-in-huenfelden-mehr-als-familiengeschichten-3448544
|
| |
Rechts: Hochzeitsfoto
von
Abraham und Lina Löwenstein (1897)
(Fotos erhalten von Christine Beller) |
 |
 |
Links: Familie
Löwenstein
- kurz vor Linas Tod 1936
- im Garten ihres Hauses in Heringen |
| |
Links und Literatur
Links:
Literatur:
 | Paul Arnsberg: Die jüdischen Gemeinden in Hessen. Anfang -
Untergang - Neubeginn. 1971. Bd. I S. 132-133. |
 | Thea Altaras: Synagogen in Hessen. Was geschah seit
1945? 1988 S. 94-96. |
 | dies.: Das jüdische Rituelle Tauchbad und: Synagogen in
Hessen. Was geschah seit 1945 Teil II. 1994. S. 82 (keine weiteren
Informationen). |
 | dies.: Neubearbeitung der beiden Bände. 2007². S.
225-227. |
 | Studienkreis Deutscher Widerstand (Hg.):
Heimatgeschichtlicher Wegweiser zu Stätten des Widerstandes und der
Verfolgung 1933-1945. Hessen II Regierungsbezirk Gießen und Kassel. 1995 S.
134. |
 | Pinkas Hakehillot: Encyclopedia of Jewish
Communities from their foundation till after the Holocaust. Germany Volume
III: Hesse - Hesse-Nassau - Frankfurt. Hg. von Yad Vashem 1992
(hebräisch) S. 418-419. |
 | Markus Streb: Von Mensfelden nach Naharija. Das
bewegte Leben des Adolf Besmann. In: Nassauische Annalen 127 2016. VDS.
Neustadt a.d. Aisch S. 301-316. |

Article from "The Encyclopedia of Jewish life Before and During the
Holocaust".
First published in 2001 by NEW
YORK UNIVERSITY PRESS; Copyright © 2001 by Yad
Vashem Jerusalem, Israel.
Dauborn
Hesse-Nassau. In 1750, Jews from Dauborn and from three neighboring villages -
Heringen, Kirberg and Mensfelden - established a community with synagogues in
Kirberg (1744) and Heringen (1846). They numbered 130 altogether in 1843, but
only 49 in 1933, thereafter falling victim to Nazi terror. By 1939 all the Jews
had left.

vorherige Synagoge zur ersten Synagoge nächste Synagoge
|